Didier Bourdon, Thierry Lhermitte… si les acteurs ne se gênent pas pour emprunter le nom d’animaux pour briller en société, il arrive aussi que des espèces rares se retrouvent, sans rien demander à personne, avec le nom d’une célébrité sur le dos. Des blases pas toujours faciles à porter…
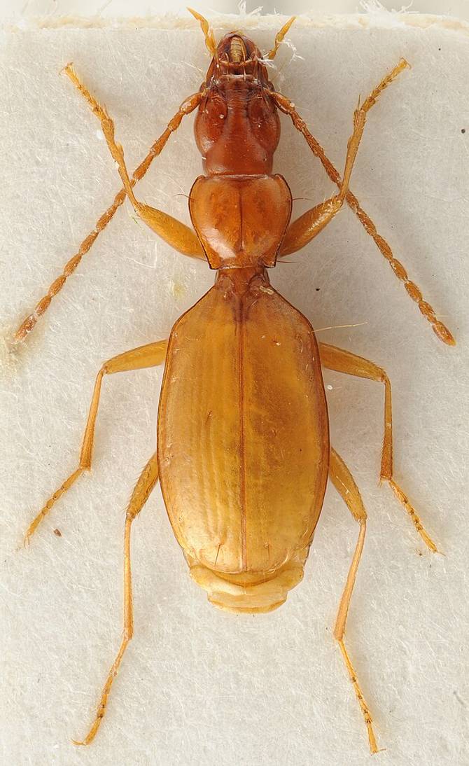
Le Scarabée Agra Schwarzeneggeri
Découvert en 2002 dans la forêt costaricaine, ce petit insecte fut ainsi nommé en raison de la taille sur-développée de ses petites pattes avant qui rappelèrent aux naturalistes qui le découvrirent, les biceps de l’acteur austrio-américain stéroïdé. La prochaine fois que vous croisez un scarabée en train de lever de la fonte ou se mater dans la glace avec un air satisfait sur le visage, ne cherchez pas, vous êtes à coup sûr devant un Agra Schwarzeneggeri !
La mite Neopalpa donaldtrumpi
Lorsqu’en 2017, le biologiste canadien Vazrick Nazari découvre cette nouvelle espère de « papillon » au fin fond du Venezuela, il s’empresse de lui refiler le nom du futur Président américain. Loin d’être un grand fan de l’homme politique, Nazari explique alors son choix par la ressemblance entre les écailles jaune dégueulasse de la tête de l’animal et la tignasse de Donald. Ce clin d’œil lui permit surtout de faire le buzz et de faire connaître au grand public cette espèce menacée. Pour l’anecdote, en France, une erreur de traduction de l’AFP transforma ce « papillon » Neopalpa donaldtrumpi, en « grosse mite » !
Le ver Tarantobelus jeffdanielsi
Avant de jouer dans le chef d’œuvre Dumb and Dumber, l’acteur Jeff Daniels incarna le pire cauchemar des arachnophobes du monde entier dans le bien nommé film d’horreur « Arachnophobie ». Un rôle qui lui valut quelques années plus tard l’honneur de voir son nom refilé à une espèce rare de ver hermaphrodite (classe), capable de tuer ces saletés de tarentules !
Le ptérosaure Coloborhynchus spielbergi
Rien d’étonnant que de refiler à un dinosaure, le nom du réalisateur de Jurassic Park. Le ptérosaure Coloborhynchus spielbergi fut ainsi découvert en 2003 au Brésil et vient s’ajouter au vaste bestiaire de la famille des gros lézard volants, sorte de dragon préhistorique sans l’option chalumeau au guise de postillons.
La méduse Phialella zappai
Génial guitariste, Frank Zappa a eu le droit a tous les hommages de son vivant, y compris les plus bizarres. Son nom fut ainsi donné par deux chercheurs italiens à une bactérie responsable de l’acné… Plus tard, c’est à une méduse filandreuse que son patronyme fut associé par un biologiste qui souhaitait avoir une chance de rencontrer son idole. Ce fut chose faite quelques mois plus tard, à l’issue de laquelle Frank Zappa aurait déclaré : « Il n’y a rien au monde qui ne me rende plus heureux que de savoir qu’une méduse porte mon nom. »
Le scarabée Agathidium Vaderi
Avec son dos large, noir et brillant, ce petit scarabée ressemblerait, selon les scientifiques qui l’ont découvert en Caroline du Nord, au casque de Dark Vador… ou Darth Vader pour les adeptes de la version originale. La preuve surtout que l’ont peut être un chercheur de renommée mondiale et aimer la déconne.
Le coléoptère Anophthalmus hitleri
Alors qu’il vivait tranquillement au fond des cavernes de Slovénie, il fallut qu’un collectionneur allemand ne tombe dessus en 1933 et ne lui refile le nom du tristement célèbre psychopathe austro-allemand, pour que son image soit associée à jamais à la nostalgie du régime nazi. Le führer avait en effet à l’époque salué cet hommage dans une lettre officielle. Aujourd’hui encore, quelques tarés continuent de vénérer ce coléoptère dont les rares spécimens encore vivants, se négocient aux alentours de 2000 euros !
Le scarabée Agra Liv
Liv comme Liv Tyler, fille du chanteur d’Aerosmith et surtout actrice notamment aperçue dans le film philosophique Armageddon, dans lequel son personnage criait au monde « L’existence et la survie de cette élégante espèce de scarabée dépend de la forêt tropicale d’Amazonie qui ne doit pas subir un cataclysme ». Une réplique tellement poignante (non) qu’un scientifique décida de rendre hommage à la dame en refilant son prénom à un scarabée (logique) découvert en Amazonie.
L’araignée Calponia Harrisonfordi
On reste dans l’univers Star Wars et d’Indiana Jones avec cette araignée découverte par le scientifique Norman I. Platnick en 1993 en Californie, qui fut nommée en hommage à Harrison Ford très investi auprès du Museum d’histoire naturelle américain ainsi que celui de Londres. Le nom de l’acteur aurait également été refilé à une fourmi d’Amérique centrale : la Pheidole harrisonfordi.
La mouche Scaptia beyonceae
Cette mouche australienne serait en réalité un taon, sorte d’insecte bien relou mais qui a quand même deux gros atouts : Primo, il participe à la pollinisation des fleurs, et deuzio, il s’est vu refiler le nom de la star américaine aux déhanchés de dingue. Une fois que l’on sait ça, on peut sans trembler affirmer que Beyonce Knowles est un taon !
:format(webp):quality(70)/https%3A%2F%2Fmedia.topito.com%2Fwp-content%2Fuploads%2F2022%2F12%2FANIMAUX-STAR.jpg)
:format(webp):quality(70)/https%3A%2F%2Fmedia.topito.com%2Fwp-content%2Fuploads%2F2025%2F11%2FTop-BD-Les-Gendarmes.png)
:format(webp):quality(70)/https%3A%2F%2Fmedia.topito.com%2Fwp-content%2Fuploads%2F2025%2F10%2FLogo-Bamboo-edition.png)
:format(webp):quality(70)/https%3A%2F%2Fmedia.topito.com%2Fwp-content%2Fuploads%2F2023%2F10%2FCALENDRIER-DE-LAVENT-COUPLE.jpg)
:format(webp):quality(70)/https%3A%2F%2Fmedia.topito.com%2Fwp-content%2Fuploads%2F2024%2F10%2FCALENDRIER-DE-LAVENT-EROTIQUE.jpg)
:format(webp):quality(70)/https%3A%2F%2Fmedia.topito.com%2Fwp-content%2Fuploads%2F2022%2F07%2FBD-Les-Profs.png)
:format(webp):quality(70)/https%3A%2F%2Fmedia.topito.com%2Fwp-content%2Fuploads%2F2025%2F10%2Fpeur-des-chiffres.jpg)
:format(webp):quality(70)/https%3A%2F%2Fmedia.topito.com%2Fwp-content%2Fuploads%2F2025%2F07%2FFortuneo.png)
:format(webp):quality(70)/https%3A%2F%2Fmedia.topito.com%2Fwp-content%2Fuploads%2F2025%2F10%2FCouverture-TOP6-Citeo-x-Topito.png)
:format(webp):quality(70)/https%3A%2F%2Fmedia.topito.com%2Fwp-content%2Fuploads%2F2017%2F10%2FBalance.png)
:format(webp):quality(70)/https%3A%2F%2Fmedia.topito.com%2Fwp-content%2Fuploads%2F2022%2F05%2FPulp-Fiction.png)
:format(webp):quality(70)/https%3A%2F%2Fmedia.topito.com%2Fwp-content%2Fuploads%2F2019%2F11%2Feva-longoria.png)
:format(webp):quality(70)/https%3A%2F%2Fmedia.topito.com%2Fwp-content%2Fuploads%2F2016%2F09%2Fclaquettes.png)
:format(webp):quality(70)/https%3A%2F%2Fmedia.topito.com%2Fwp-content%2Fuploads%2F2019%2F11%2Feva-longoria.png)
:format(webp):quality(70)/https%3A%2F%2Fmedia.topito.com%2Fwp-content%2Fuploads%2F2016%2F11%2FWe-Need-To-Talk-Mom-Funny-Marijuana-Rolling-Papers.jpg)
:format(webp):quality(70)/https%3A%2F%2Fmedia.topito.com%2Fwp-content%2Fuploads%2F2019%2F06%2FUNE_VOYAGE_expressions-bretonnes.jpg)
:format(webp):quality(70)/https%3A%2F%2Fmedia.topito.com%2Fwp-content%2Fuploads%2F2020%2F12%2FUNE_TOPITO_barmaid-boulot.jpg)
:format(webp):quality(70)/https%3A%2F%2Fmedia.topito.com%2Fwp-content%2Fuploads%2F2020%2F01%2FCADEAUX-CACA.jpg)